|
|
||
| Hydrous Magnesium Silicate | ||
|
|
|
|
| Formula | Mg3Si2O5(OH)4 Very minor substitution of Al for Si, and of Fe and Al for Mg. |
3 types: chrysotile, lizardite, and antigorite |
| Crystal System | Monoclinic | Beta = 93° |
| Crystal Habit | Crysotile: Fibrous, elongated, and parallel to crystallographic axis a Lizardite and antigorite: flat, tabular crystals | A mesh-like texture can be viewed with polarized
light. |
| Cleavage | Chrysotile: fibrous Lizardite: basal cleavage Antigortie: perfect {001} |
|
| Color/Pleochroism | Green in thin section | |
| Optic Sign | Biaxial (-) | |
| 2V | highly variable, may be sensibly uniaxial | |
| Optic Orientation | Slow ray vibration direction is typically
parallel to the length of fibers in chrysotile giving it parallel extinction. For antigorite - Optic plane is perp to (010). X=c, Y=b, Z=a |
|
| Refractive
Indices alpha = beta = gamma = |
1.538-1.567 ~1.566 1.545-1.574 |
|
| Max Birefringence | .001-.010 | first order colors |
| Elongation | Chrysotile is length-slow | |
| Extinction | Parallel to fibres, cleavage or crystal edge. | |
| Dispersion | r > v for antigorite | |
| Distinguishing Features | With the exception of cross-fibers of chrystolite in veins, the varietites of serpentine cannot be distinguished without X-ray diffraction or other techniques. | |
| Occurrence | Commonly formed by hydrothermal alteration of olivine and orthopyroxene in mafic and ultramafic rocks (peridotite, dunite, and pyroxenite). Serpentine can also be found as an alteration of forsterite in metamorphosed carbonate rocks. | |
| Associated Minerals | talc, calcite, brucite, chlorite, and chromite. | |
| Editors | Emilie Flemer ('01), Jennifer Unis ('01), Rebecca-Ellen Farrell ('03), Liz Hogan ('04), Sofia Johnson ('19) | |
![]() |
A thin section of serpentine under cross polorized light. Note the orthopyroxene and its exsolution lamellae and the high birofrengence of the olivine minerals. The fibrous serpentine is the vein like mineral between the orthopyroxene and olivine. |
![]() |
The same thin section of serpentine under unpolorized light. Note the greenish, yellowish color of the serpentine mineral. |
![]() |
Here the mesh-like texture can be viewed through the cross-polarized light (x5) Size=2000microns |
![]() |
Serpentine in plane-polarized light (x5) Size= 2000microns |
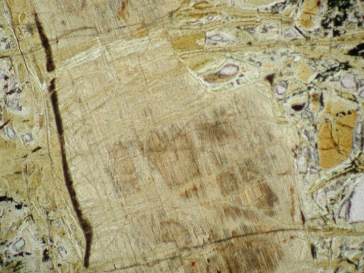
![]() |
Serpentine in altered peridotite. Much of the field of view is colorless serpentine with low (1st order) retardationin XPL. The opaque minerals are magnetite or chromite from the Fe in the original olivine and orthopyroxene. Click on the thumbnail image to see a larger version that rolls over to XPL when you mouseover the image. |
| WWW Images | Union College [under amphiboles] |